Commercial $ 265,000

00 N Houston Street

Lorena, TX 76655

  • 3.41 Lot Size
  • - Year Built
Shovel-ready commercial opportunity in one of the fastest growing pockets of the Texas Triangle. This 3.41-acre tract in Lorena comes with fully engineered and approved plans for a convenience store, gas station, and retail site, giving developers and operators a true head start. All utilities are stubbed and ready at the property line, including water, sewer, and electric, eliminating costly off-site extensions and reducing time to market.

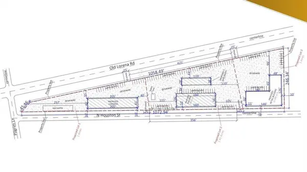
The engineered site plan includes a 4,000 sq ft building, five MPDs with ten fueling positions, completed grading and drainage, and a feasibility study already performed. The creek along the boundary falls outside the buildable footprint, ensuring a straightforward development path.

Located just one mile from I-35, the property delivers over 1,200 feet of dual frontage on N Houston St and Old Lorena Road. Traffic counts at the intersection total 5,078 VPD, with frontage and turn traffic split nearly evenly. These volumes support regional C-store brands and continue to grow as residential development expands across Lorena and southern McLennan County.

With a listing price of $265,000 ($77,712 per acre), this site offers an exceptional land basis relative to projected post development values of $450,000–$600,000. Year one financial projections show strong potential, including an estimated $1.37M in C-store sales, 713k gallons of fuel volume, and a $176,016 net profit.

If you're looking for a shovel-ready commercial pad with approvals in hand, utilities in place, and high-growth demand drivers, this Lorena site stands out as one of the strongest development opportunities in the area.
Listed by Gregory Windham of Ranch Roads Realty

VIRTUAL TOUR

PROPERTY DETAIL

  • Key Details

    Property Type Commercial

    Sub Type Unimproved Land

    Listing Status Active

    Purchase Type For Sale

    Subdivision Stewart J

    MLS Listing ID 21165888

    Annual Tax Amount $912

    Lot Size 3.410 Acres

    Acres 3.41

    Property Sub-Type Unimproved Land

  • Location

    State TX

    County Mclennan

    Zoning Commercial

    Direction From Brookshires in Lorena, merge onto N Lorena Rd... go 1.5 miles and property is on the left... Ideal Self Storage will be behind the property.

  • Building

    Lot Description Acreage, Corner Lot

  • Exterior

    Utilities Available Asphalt, City Sewer, City Water, Electricity Available

    Garage No

  • Others

    Virtual Tour https://www.propertypanorama.com/instaview/ntreis/21165888

CONTACT

Greg Windham
Greg Windham

GET IN TOUCH

Your Full Name
Your Phone Number*
Write Your Message